Vendita 58.000,00€ - Locale Commerciale
Classe energetica: G – BOTTEGA 30 MQ + CORTILE ESTERNO
VIA ETNA 9, SAN GIOVANNI LA PUNTA (CT)
POSIZIONE
La bottega è situata in Via Etna 9, nel cuore di San Giovanni La Punta, in una zona residenziale tranquilla e ben servita da attività commerciali, servizi e parcheggi nelle vicinanze.
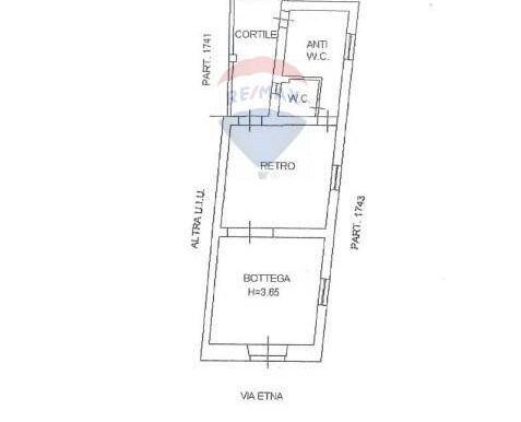
COMPOSIZIONE
Limmobile ha accesso diretto su strada ed è composto da due vani per una superficie complessiva di 30 m².
Gli ambienti, luminosi e funzionali, si presentano da ristrutturare, offrendo la possibilità di personalizzare gli spazi in base alle proprie esigenze o al tipo di attività da avviare.
Sul retro è presente un cortiletto esterno privato di 11 m², ideale come spazio di servizio o area relax.
DISTRIBUZIONE INTERNA:
– Ingresso su locale principale
– Secondo locale retrostante
– Bagno finestrato
– Cortile privato
E’ un’ottima soluzione per chi cerca un piccolo locale commerciale o uno spazio professionale in una posizione strategica.
Non lasciartela sfuggire! Contattaci per maggiori informazioni o per fissare un appuntamento.
——————————-












